• Povećaj tekst
  • Smanji tekst
  • Negativni kontrast
  • Sivi tonovi
  • Čitljiv font
  • Reset

22/04/2022

Projektni natječaj za izradu idejnog rješenja spomen obilježje poginulim i umrlim hrvatskim braniteljima s područja Općine Lobor

OPĆINA LOBOR

raspisuje, a

 

DRUŠTVO ARHITEKATA VARAŽDIN (DAV)

provodi

 

Likovni i urbanističko – arhitektonsko – krajobrazni

Javni, anonimni, opći, jednostupanjski, prvog stupnja složenosti za realizaciju i anketni

PROJEKTNI NATJEČAJ

za izradu idejnog rješenja:

SPOMEN OBILJEŽJE

POGINULIM I UMRLIM HRVATSKIM BRANITELJIMA

S PODRUČJA OPĆINE LOBOR

 

CPV: 71200000-0

 

CPV: 71220000-0 – Usluge projektiranja u arhitekturi

Oznaka iz Plana nabave raspisivača natječaja: E-JN-23

Registarski broj natječaja Hrvatske komore arhitekata: 124-22 / LO- LUAK / NJN

 

VRSTA, STUPANJ SLOŽENOSTI I STUPANJ PROVEDBE NATJEČAJA

Likovni i urbanističko - arhitektonsko - krajobrazni, javni, anonimni, opći, jednostupanjski, prvog stupnja složenosti za realizaciju i anketni za izradu idejnog rješenja: Spomen obilježje poginulim i umrlim hrvatskim braniteljima s područja Općine Lobor.

 

RASPISIVAČ I INVESTITOR:

Općina Lobor, Trg svete Ane 26, 49253 Lobor, OIB: 08909915246, Internetska adresa http://lobor.hr/; telefon: +38549430531; email: opcina@lobor.hr;koju zastupa načelnica Općine Lobor Ljubica Jembrih; kontakt: Ljubica Jembrih, +38549430531, ljubica.jembrih@lobor.hr

 

PROVODITELJ:

Društvo arhitekata Varaždin (DAV), Optujska 99, 42 000 Varaždin, OIB: 97116871661, Internetska adresa: http://www.davz.hr/, koje zastupa Valentina Fištrek, dipl.ing.arh., telefon:    +385913693263, e-mail adresa: arhitekt.vz@gmail.com  

 

AUTORI NATJEČAJNOG ELABORATA:

Maja Kireta, ovlaštena arhitektica, +38598791090, maja.kireta77@gmail.com, Tome Masaryka 21, 42000 Varaždin

 

JEZIK NA KOJEM SE PROVODI NATJEČAJ:

Natječaj se provodi na hrvatskom jeziku.

PREDMET I SVRHA NATJEČAJA:

Općina Lobor provodi natječaj u suradnji s Ministarstvom hrvatskih branitelja.

Općina Lobor želi realizirati uz groblje u Loboru Spomen obilježje poginulim i umrlim hrvatskim braniteljima s područja Općine Lobor visoke estetske, funkcionalne i oblikovne kvalitete unutar zadanog financijskog okvira. Stoga se odlučuje na provedbu likovnog i urbanističko – arhitektonsko – krajobraznog natječaja koji će omogućiti odabir najkvalitetnijeg rješenja između više ponuđenih autorskih radova. Natječaj je za realizaciju i anketni.

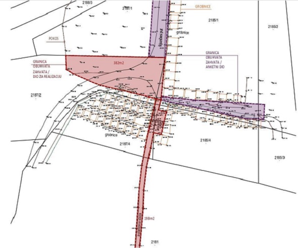
Idejno rješenje obrađuje dio neizgrađene livade uz sjeverozapadni ugao loborskog groblja te njene pristupne putove.

Dio za realizaciju obuhvaća budući centar groblja površine P = 382m2 i pristupni put s juga, kroz postojeće groblje, površine P = 193m2. Budući centar groblja sadrži spomen obilježje i poziciju glavnog križa groblja. Idejnim rješenjem uređuju se parter i krajobraz u kontaktnoj zoni spomen obilježja.

Anketni dio obuhvaća pristupne putove budućem centru groblja, i to sa sjevera, površine P = 186m2 i sa istoka, površine P = 134m2. Anketnim dijelom natječaja obrađuje se oblikovanje glavnog križa na groblju.

Gradnjom visokovrijednog javnog prostora oplemenjuje se vizualni identitet Općine Lobor te ostavlja važan trag u prostoru u njenoj suvremenoj ostavštini. Lokalno stanovništvo se ponosi ovim spomen obilježjem, posjetitelji ga ciljano posjećuju i nose trajnu uspomenu na njega.

Natječajni zadatak propisuje suvremeni izričaj, ekonomičnost, racionalnost, funkcionalnost i provedivost. Krajnji cilj natječaja je omogućiti pronalaženje najboljeg rješenja između više različitih prijedloga, prema kriterijima ocjenjivanja propisanim uvjetima natječaja.

 

PRAVO SUDJELOVANJA I OGRANIČENJA ZA SUDJELOVANJE:

Pravo sudjelovanja u svojstvu autora ima jedna ili više stručnih fizičkih osoba.

Natjecatelj je jedna ili više stručnih fizičkih osoba koje su u svojstvu autora predale natječajni rad.

Sposobnost natjecatelja je zadovoljena kada je barem jedan od autora pojedinog natječajnog rada:

• ovlašteni arhitekt ili

• dipl.ing.arh. ili

• mag.ing.arch.

Svaki od natjecatelja, pojedinac ili grupa, ima pravo sudjelovanja na ovom natječaju samo s jednim radom. Osobe koje su sudjelovale u izradi nekog natječajnog rada kao suradnici ne mogu predati natječajni rad samostalno.

Kao natjecatelji na natječaju ne mogu sudjelovati zaposlenici Raspisivača, zaposlenici Provoditelja u slučaju da je provoditelj pravna ili fizička osoba - ured ovlaštenog arhitekta, Voditelj natječaja, zamjenik Voditelja natječaja, članovi Ocjenjivačkog suda, zamjenica članova, tajnica natječaja, članovi tehničke komisije, izrađivač natječajnog elaborata, kao i njihovi suradnici i srodnici u prvom i drugom koljenu, kao i svi ostali koji bi narušili ravnopravnost natjecatelja ili neovisno odlučivanje Ocjenjivačkog suda.

 

NATJEČAJNI ELABORAT:

Podaci o natječaju staviti će se na raspolaganje svima koji su zainteresirani za sudjelovanje u natječaju.

Poziv na projektni natječaj i Natječajnu dokumentaciju / Elaborat natječaja Raspisivač natječaja objavit će na službenim stranicama Općine Lobor: https://lobor.hr/

Bez odgode isti dan, istodobno se obavezno objavljuje Obavijest o natječaju:

• Na mrežnim stranicama Raspisivača: https://lobor.hr/

• Na mrežnim stranicama Provoditelja: http://www.davz.hr/

• Oglas u dnevnom tisku: Večernji list

 

Oglas o raspisu natječaja dostavit će se i Hrvatskoj komori arhitekata, Udruženju hrvatskih arhitekata, regionalnim društvima arhitekata te ostalim zainteresiranima.

Natjecatelji mogu preuzeti natječajni elaborat u digitalnom obliku bez naknade, na javno dostupnoj poveznici (link) s poslužitelja:   

 

ROKOVI:

Početak natječaja: 22.04.2022. (petak)

Postavljanje pitanja natjecatelja vezana uz Program i Uvjete natječaja   : 11.05.2022. (srijeda) Pitanja se dostavljaju e-mailom na adresu: loborspomenobiljezje@gmail.com

Pitanja vezana za jednostavnu nabavu se dostavljaju e-mailom na adresu: loborspomenobiljezje@gmail.com najkasnije tijekom šestog dana prije dana u kojem ističe rok za predaju radova: 17.06.2022. (petak)

Rok za davanje odgovora na pitanja vezana uz Program i Uvjete natječaja: 20.05.2022. (petak) Na pravodobno postavljena pitanja, pisana pitanja i odgovori bit će objavljeni do zadanog roka na mrežnim stranicama Raspisivača: https://lobor.hr/ i na mrežnim stranicama provoditelja: http://www.davz.hr/

Rok, način i vrijeme predaje natječajnih radova: 23.06.2022.(četvrtak) do 16:00h bez obzira na način dostave

Predaja natječajnih radova i adresa za slanje istih je: Općina Lobor, Trg svete Ane 26, 49253 Lobor, s naznakom „NE OTVARAJ – natječajni rad LOBOR“.

Na omotnici u kojoj se nalazi rad ne smije biti napisano ime pošiljatelja i/li nalijepljena povratnica s imenom pošiljatelja. Ukoliko se natječajni rad šalje poštom, a iz formalnih razloga zaprimanja rada potrebno je navesti pošiljatelja, ime prezime, naziv i adresu koji su dani ili napisani na omotu natječajnog rada pod „pošiljatelj“ ne smije u imenu, prezimenu, nazivu niti adresi biti isti s bilo kojim od tih podataka vezano na autora natječajnog rada, niti upućivati na autora natječajnog rada niti ponuditelja iz omotnice C. Svaki takav rad će se nakon provjere i usporedbe ovih podataka diskvalificirati.

 

ČLANOVI I ZAMJENICA ČLANA OCJENJIVAČKOG SUDA, TEHNIČKA KOMISIJA, TAJNICA I STRUČNI SAVJETNIK:

Za ocjenu radova imenovan je Ocjenjivački sud u sastavu tri (3)  člana:

 

Predsjednica ocjenjivačkog suda

1. Bernarda Silov, dipl.ing.arh., ovlaštena arhitektica

Članovi ocjenjivačkog suda

2. Mario Kralj, mag.ing.arch.

3. Mr.sc. Stjepan Adanić, general

 

Zamjenica člana ocjenjivačkog suda

4. Doc.dr.sc. Ines Hrdalo, mag.ing.prosp.arch., ovlaštena krajobrazna arhitektica

 

Tehnička komisija

Valentina Fištrek, dipl.ing.arh., ovlaštena arhitektica

Tajnica natječaja

Dina Horvat, dipl.ing.arh., ovlaštena arhitektica

 

NAGRADE:

Ako do zadanog roka pristignu najmanje tri rada koji su u skladu s Uvjetima natječaja, ocjenjivački sud se obvezuje dodijeliti sljedeće nagrade u točnom iznosu i rasporedu kako slijedi:

Nagrade prema redoslijedu       Broj nagrada                     Neto iznos

1. nagrada                                          1                                            20.000,00kn

2. nagrada                                          1                                            12.000,00kn

3. nagrada                                          1                                            8.000,00kn

 

KRITERIJI ZA OCJENJIVANJE:

Natječajni radovi moraju biti usklađeni s Elaboratom natječaja.

Isključit će se radovi:

• Predani poslije roka navedenog u ovim uvjetima

• Koji ne sadrže priloge navedene ovim uvjetima

• Čija oprema natječajnog rada nije u skladu s ovim uvjetima

• Koji nisu predani u zapečaćenom omotu

 

Ocjenjivački sud će valorizirati radove prema osnovnim kriterijima:

• Zadovoljenje programskih smjernica

• Provedivost

• Kvaliteta, jasnoća i prepoznatljivost koncepta u odnosu na širi i uži kontekst

• Estetska i oblikovna kvaliteta

• Suvremenost izričaja

• Inovativnost

 

 

PROCIJENJENA VRIJEDNOST INVESTICIJE:

UKUPNA VRIJEDNOST INVESTICIJE: 560.000,00 HRK + PDV. Ovaj iznos uključuje sve elemente idejnog rješenja dijela za realizaciju prema Programu natječaja. Anketni dio natječaja nije obuhvaćen ovim iznosom. Ugovor/i uključuju i uslugu izrade spomenika spremnog za postavljanje ukoliko autorski rad predstavi takvo spomen obilježje.

 

PROCIJENJENA VRIJEDNOST UGOVORA O USLUGAMA ZA IZRADU PROJEKTNO – TEHNIČKE DOKUMENTACIJE: 40.000,00 HRK + PDV. Obuhvaća izradu cjelovitog projekta (glavni i izvedbeni projekt svih struka sukladno Zakonu o gradnji) uključujući sve elaborate i troškovnike potrebne za nabavu radova i izgradnju.

 

PROCIJENJENA VRIJEDNOST NABAVE

Procijenjena vrijednost nabave – projektni natječaj sastoji se od nagradnog fonda i vrijednosti ugovora o jednostavnoj nabavi usluge izrade projektno – tehničke dokumentacije i iznosi ukupno 80.000,00 HRK (bez PDV-a), te se raščlanjuje na iznose kako slijedi:

• Nagradni fond: 40.000,00 HRK

• procijenjena vrijednost izrade projektno – tehničke dokumentacija: 40.000,00 HRK

 

OSTALI NAVODI:

Svi ostali uvjeti detaljno su navedeni u Uvjetima natječaja.

Natječaj se provodi u skladu sa odredbama Pravilnika o provedbi postupka jednostavne nabave robe, radova i usluga (KLASA: 406-09/17-01/01, URBROJ: 2211/05-03-17-02, od 02.01.2017.), Zakona o javnoj nabavi (NN 120/16), Pravilnika o dokumentaciji o nabavi te ponudi u postupcima nabave (NN 65/17 i 75/20 ) i Pravilnika o natječajima s područja arhitekture, urbanizma, unutarnjeg uređenja i uređenja krajobraza, Hrvatske komore arhitekata (NN 85/14), a kojih su se svi sudionici obvezni pridržavati.

 

OCJENJIVAČKI SUD